(クリックすると別窓で640*480の画像が開きます)こちらはとっくに梅雨に入っているのに、雨があまり降りません。
ので、週末は海へ遊びに行くことが多いです。
しかも、3年前からオットお気に入りの、いつものビーチ。
キレイなところだから、うれしくないわけではありませんが、こういつもいつも同じところばかりというのも……ねぇ?

チャーにははじめての水着と、『いないいないばぁっ』のお砂遊びセットを買いました。
特にスコップがお気に入りで、

波打ち際で遊ぶときにも持っていくほど(笑)
でもときどき飽きて、その辺にほっぽり投げるので、スコップが流れていきそうになるんですよねぇ(苦笑)
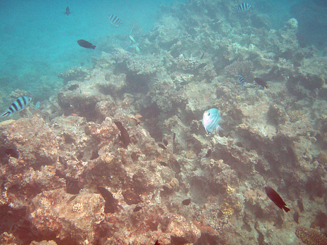
(クリックすると別窓で640*480の画像が開きます)オマケ。
オットがシュノーケリングして撮影した、このビーチののちょい沖の画像。
わたしはまだチャーをおいて泳ぎに行く気はないけど、こーゆーの見るとほっと泳ぎたくなってきます。
いーなー、オット。
[0回]
PR